Bouwgrond | Kasterlee

Omschrijving

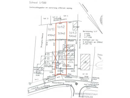
Bouwgrond, lot 2, deel uitmakend van een verkaveling in drie loten, groot 519m² voor halfopen bebouwing nabij het centrum van Tielen.

Perceelbreedte van 10,55 meter en een perceeldiepte van ongeveer 50meter.

Voorgevelbreedte ongeveer 7,5 meter, bouwdiepte 17 meter, 13 meter 1ste verdieping en 9 meter onder dak.

De bouwgrond is rustig gelegen nabij het centrum van Tielen. Winkels, bakker, scholen en openbaar vervoer (treinstation) op fietsafstand.

De tuin is PERFECT georiënteerd (zuidoost) en heeft van ’s morgens tot ‘s avonds zon.

Meer informatie (plannen, bouwvoorschriften, ...) is op eenvoudig verzoek te verkrijgen op kantoor, tel. 014/71.50.08 of christoffel@vastgoedpicavet.be
Adres:   Molenberg 11 - 2460 Kasterlee
Pand op kaartOmgeving pand

Overige info

Tuin  Tuin zuid-oost gericht met de GANSE DAG ZON van 's morgens tot 's avonds.
Orientatie tuin  ZO
Afstand tot openbaar vervoer  750 m
Afstand tot winkels  500 m
Afstand tot school  500 m
Afstand tot strand  500 m

Comfort

Aansluiting riolering  ja
Aansluiting aardgas  ja
Aansluiting telefoonlijn  ja
Aansluiting Internet  ja
Aansluiting waterleiding  ja

Geografische ligging

Adres  Molenberg 11 - 2460 Kasterlee
Vrij op  bij akte na betaling
Omgeving  Dorp

Bebouwing

Bebouwing  halfopen
Grond oppervlakte  519 m²
Bouw oppervlakte  128,35 m²
Woonoppervlakte  128,35 m²
Perceelbreedte  10,55 m
Perceeldiepte  50 m
Gevelbreedte  7,55 m

Ruimtelijke ordening

Stedenbouwkundige vergunning verkregen    Nee
Optionele informatie    Woongebied
Dagvaardingen uitgebracht    Nee
Voorkooprecht op dit goed    Nee
Verkavelingsvergunning verkregen    Ja
Print deze pagina e-mail deze pagina vraag meer informatie Pand delen