Bouwgrond | Kasterlee
Omschrijving
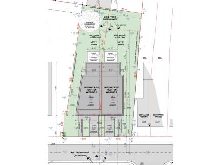
Bouwgrond van 423 m² in het centrum van Kasterlee geschikt voor het bouwen van een halfopen bebouwing.Perceelbreedte vooraan van 9,46 meter, achteraan 10,71 meter en een diepte van circa 40 meter.
Het perceel is geschikt voor het bouwen van een halfopen bebouwing met een gevelbreedte van 7 meter, bouwdiepte gelijkvloers 17 meter, 13 meter 1ste verdieping en 9 meter onder dak.
Het perceel is rustig gelegen in het centrum van Kasterlee op wandelafstand van winkels, scholen en openbaar vervoer. Vlakbij is er ook het natuurgebied de Hoge Mouw met de slapende reus en zijn er ook wandel- en mountainbike-routes.
Indien u meer informatie wenst (opmetingsplan, verkavelingsvoorschriften, …) of een plaatsbezoek wenst, tel. 014715008 of e-mail: info@vastgoedpicavet.be
                    Pand op kaartOmgeving pand
                
                    
            Overige info
| Tuin | grond is bouwrijp | 
| Orientatie tuin | NW | 
| Afstand tot openbaar vervoer | 300 m | 
| Afstand tot winkels | 300 m | 
| Afstand tot school | 50 m | 
Geografische ligging
| Adres | Monseigneur Heylenstraat 38, bus 2 - 2460 Kasterlee | 
| Vrij op | bij akte na betaling | 
Bebouwing
| Bebouwing | halfopen | 
| Grond oppervlakte | 423 m² | 
| Perceelbreedte | 12,04 m | 
| Perceeldiepte | 40 m | 
| Gevelbreedte | 8,30 m | 
| Aantal gevels | 3 | 
Ruimtelijke ordening
Downloads
|  Kasterlee_mgr_Heylenstr38_inplanting.pdf | 
 
        

