Bouwgrond | Kasterlee

Omschrijving

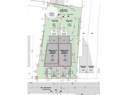
Bouwgrond van 406 m² in het centrum van Kasterlee geschikt voor het bouwen van een halfopen bebouwing.

Perceelbreedte vooraan van 12,04 meter, achteraan 8,71 meter en een diepte van circa 40 meter.

Het perceel is geschikt voor het bouwen van een halfopen bebouwing met een gevelbreedte van 8,30 meter, bouwdiepte gelijkvloers 17 meter, 13 meter 1ste verdieping en 9 meter onder dak.

Het perceel is rustig gelegen in het centrum van Kasterlee op wandelafstand van winkels, scholen en openbaar vervoer. Vlakbij is er ook het natuurgebied de Hoge Mouw met de slapende reus en zijn er ook wandel- en mountainbike-routes.

Indien u meer informatie wenst (opmetingsplan, verkavelingsvoorschriften, …) of een plaatsbezoek wenst, tel. 014715008 of e-mail: info@vastgoedpicavet.be
Adres:   Monseigneur Heylenstraat 38, bus 1 - 2460 Kasterlee
Pand op kaartOmgeving pand

Overige info

Tuin  grond is bouwrijp
Orientatie tuin  NW
Afstand tot openbaar vervoer  300 m
Afstand tot winkels  300 m
Afstand tot school  50 m

Geografische ligging

Adres  Monseigneur Heylenstraat 38, bus 1 - 2460 Kasterlee
Vrij op  bij akte na betaling

Bebouwing

Bebouwing  halfopen
Grond oppervlakte  406 m²
Perceelbreedte  12,04 m
Perceeldiepte  40 m
Gevelbreedte  8,30 m
Aantal gevels  3

Ruimtelijke ordening

Stedenbouwkundige vergunning verkregen    Niet ingegeven - Omgevingsvergunning voor het verkavelen van percelen.
Optionele informatie    Woongebied
Dagvaardingen uitgebracht    Niet ingegeven
Voorkooprecht op dit goed    Niet ingegeven
Verkavelingsvergunning verkregen    Niet ingegeven
Print deze pagina e-mail deze pagina vraag meer informatie Pand delen