Aanbod

Hieronder vindt u het overzicht van onze panden.
U kan op deze pagina gericht zoeken.
Sorteren op
PRIJS | TYPE | GEMEENTE | MEEST RECENT

Grond

  • Bouwgrond | Kasterlee

    Mooie bouwgrond van 796 m² nabij het centrum van Kasterlee geschikt voor het bouwen van een vrijstaande woning met bijgebouw. Bouwbreedte van 15 meter en een diepte van ongeveer 53 meter. Een bijgebouw van 75 m² is mogelijk. Het perceel is rustig gelegen nabij het centrum van Kasterlee in een residentiële wijk op wandel- en fietsafstand van het centrum, winkels, scholen en openbaar vervoer...

    info op kantoor
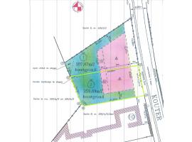
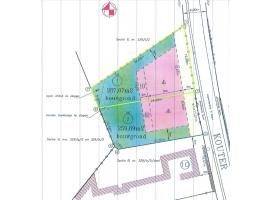
  • Bouwgrond | Tielen

    Mooie zuid georiënteerde bouwgrond van 1.284 m² nabij het centrum van Tielen geschikt voor het bouwen van een vrijstaande woning met bijgebouw. Perceelbreedte vooraan van circa 15,50 meter en een diepte van ongeveer 85 meter. Het perceel is zuid-georiënteerd. Het perceel is rustig gelegen nabij het centrum van Tielen op wandel- en fietsafstand van winkels, scholen en het treinstation....

    € 249.000
  • Bouwgrond | Tielen

    Bouwgrond van 512m² voor het bouwen van een half open bebouwing met bijgebouw, nabij het centrum van Tielen. Perceelbreedte vooraan 10 meter en een diepte van circa 50 meter. Bebouwbare voorgevelbreedte 7 meter, bouwdiepte gelijkvloers 17 meter, 1ste verdieping 13 meter en onder dak 9 meter. In de tuin kan een bijgebouw geplaatst worden binnen de zone voor bijgebouwen met een oppervlakte die...

    € 194.000
  • Bouwgrond | Grobbendonk

    Bouwgrond van 1.525m² nabij het centrum van Grobbendonk rustig gelegen in een straat met enkel plaatselijk verkeer en een goede verbinding naar de E313 Antwerpen – Luik. Perceelbreedte vooraan van 17,80 meter en een perceeldiepte van circa 80 meter. Het perceel is geschikt voor het bouwen van een open bebouwing met een gevelbreedte van circa 11,50 meter, bouwdiepte gelijkvloers van 17 meter,...

    info op kantoor
  • Bouwgrond | Wiekevorst

    Projectgrond bestaande uit 3 bouwgronden (2 halfopen en 1 gesloten bebouwing) in een nieuwe en rustige wijk te Wiekevorst. •Lot 8, halfopen bebouwing, is 367m² groot met een straatbreedte van 9,15 meter en een bouwbreedte van 6,15 meter. •Lot 9, gesloten bebouwing, is 300m² groot met een straatbreedte van 6,35 meter en een bouwbreedte van 6,35 meter. •Lot 10, halfopen bebouwing, is 406m²...

    info op kantoor
  • Bouwgrond | Beerse

    Bouwperceel van 347,98m² geschikt voor het bouwen van een half open bebouwing, deeluitmakende van een kleine verkaveling nabij het centrum van Beerse. Het perceel is oost georiënteerd, met ochtend- en namiddagzon. Bebouwbare voorgevelbreedte 7 meter, bouwdiepte gelijkvloers 17 meter. De bouwgrond is gelegen nabij het centrum van Beerse op wandelafstand van scholen, winkels en openbaar...

    info op kantoor
  • Bouwgrond | Kasterlee

    Bouwgrond van 423 m² in het centrum van Kasterlee geschikt voor het bouwen van een halfopen bebouwing. Perceelbreedte vooraan van 9,46 meter, achteraan 10,71 meter en een diepte van circa 40 meter. Het perceel is geschikt voor het bouwen van een halfopen bebouwing met een gevelbreedte van 7 meter, bouwdiepte gelijkvloers 17 meter, 13 meter 1ste verdieping en 9 meter onder dak. Het perceel...

    info op kantoor
  • Bouwgrond | Kasterlee

    Bouwgrond van 406 m² in het centrum van Kasterlee geschikt voor het bouwen van een halfopen bebouwing. Perceelbreedte vooraan van 12,04 meter, achteraan 8,71 meter en een diepte van circa 40 meter. Het perceel is geschikt voor het bouwen van een halfopen bebouwing met een gevelbreedte van 8,30 meter, bouwdiepte gelijkvloers 17 meter, 13 meter 1ste verdieping en 9 meter onder dak. Het...

    info op kantoor
  • Projectgrond | Geel

    Projectgrond met VERGUNNING in het centrum van Winkelomheide. Het betreft een perceel van 2.056m² met een vergunning voor het bouwen van 6 appartementen + 11 garages. Verder is er nog een gedeelte toekomstgrond achteraan. Het perceel is niet bouwrijp, er staan nog 2 woningen op het perceel. Goedgekeurde OMGEVINGSVERGUNNING, dus ook in 2024 nog mogelijkheid tot 6% voor SLOOP en HEROPBOUW. De...

    info op kantoor
  • Bouwgrond | Kasterlee

    Bouwgrond van 911,13 m² geschikt voor het bouwen van een halfopen bebouwing, deel uitmakend van een kleine verkaveling. Het perceel is rustig gelegen nabij het centrum van Kasterlee in een groene omgeving met natuurgebieden, wandel-, fiets- en mountainbikeroutes. Winkels, scholen en openbaar vervoer bevinden zich op wandel- en fietsafstand. Gezien de voorgevelbouwlijn ligt op 10 meter is het...

    info op kantoor
  • Bouwgrond | Kasterlee

    Bouwgrond van 720,51 m² geschikt voor het bouwen van een halfopen bebouwing, deel uitmakend van een kleine verkaveling. Het perceel is rustig gelegen nabij het centrum van Kasterlee in een groene omgeving met natuurgebieden, wandel-, fiets- en mountainbikeroutes. Winkels, scholen en openbaar vervoer bevinden zich op wandel- en fietsafstand. Gezien de voorgevelbouwlijn ligt op 10 meter is het...

    info op kantoor
  • Bouwgrond | Kasterlee

    Bouwgrond van 767,25 m² geschikt voor het bouwen van een halfopen bebouwing, deel uitmakend van een kleine verkaveling. Het perceel is rustig gelegen nabij het centrum van Kasterlee in een groene omgeving met natuurgebieden, wandel-, fiets- en mountainbikeroutes. Winkels, scholen en openbaar vervoer bevinden zich op wandel- en fietsafstand. Gezien de voorgevelbouwlijn ligt op 10 meter is het...

    info op kantoor
  • Bouwgrond | Kasterlee

    Bouwgrond van 686,29 m² geschikt voor het bouwen van een halfopen bebouwing, deel uitmakend van een kleine verkaveling. Het perceel is rustig gelegen nabij het centrum van Kasterlee in een groene omgeving met natuurgebieden, wandel-, fiets- en mountainbikeroutes. Winkels, scholen en openbaar vervoer bevinden zich op wandel- en fietsafstand. Gezien de voorgevelbouwlijn ligt op 10 meter is het...

    info op kantoor
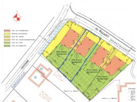
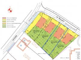
  • Bouwgrond | Tielen

    Bouwgrond van 856,30 m² geschikt voor het bouwen van een vrijstaande woning, deel uitmakend van een kleine verkaveling te Tielen. Het perceel is rustig gelegen op de hoek van De Willaert en Loozijde nabij het centrum van Tielen in een groene omgeving. Perceelbreedte vooraan van 18 meter en een perceeldiepte van circa 45 meter. Het perceel is geschikt voor het bouwen van een open bebouwing...

    info op kantoor
  • Bouwgrond | Tielen

    Bouwgrond van 764,61 m² geschikt voor het bouwen van een vrijstaande woning, deel uitmakend van een kleine verkaveling te Tielen. Het perceel is rustig gelegen nabij het centrum van Tielen in een groene omgeving. Perceelbreedte vooraan van 16,00 meter en een perceeldiepte van circa 47,50 meter. Het perceel is geschikt voor het bouwen van een open bebouwing met een gevelbreedte van circa 10 ...

    info op kantoor
  • Bouwgrond | Tielen

    Bouwgrond van 812,14 m² geschikt voor het bouwen van een vrijstaande woning, deel uitmakend van een kleine verkaveling te Tielen. Het perceel is rustig gelegen nabij het centrum van Tielen in een groene omgeving. Perceelbreedte vooraan van 16,00 meter en een perceeldiepte van circa 50 meter. Het perceel is geschikt voor het bouwen van een open bebouwing met een gevelbreedte van circa 10 ...

    info op kantoor
  • Bouwgrond | Tielen

    Bouwgrond van 749,34 m² geschikt voor het bouwen van een vrijstaande woning, deel uitmakend van een kleine verkaveling te Tielen. Het perceel is rustig gelegen nabij het centrum van Tielen in een groene omgeving. Perceelbreedte vooraan van 19,97 meter en een perceeldiepte van circa 50 meter. Het perceel is geschikt voor het bouwen van een open bebouwing met een gevelbreedte van circa 12 ...

    € 217.000
  • Bouwgrond | Beerse

    Bouwperceel van 500,43m² geschikt voor het bouwen van een half open bebouwing, deeluitmakende van een kleine verkaveling nabij het centrum van Beerse. Het perceel is zuidwest georiënteerd, met namiddag- en avondzon. Bebouwbare voorgevelbreedte 8,27 meter, bouwdiepte gelijkvloers 13 meter. De bouwgrond is gelegen nabij het centrum van Beerse op wandelafstand van scholen, winkels en openbaar...

    info op kantoor
  • Bouwgrond | Beerse

    Bouwperceel van 590,70 m² geschikt voor het bouwen van een open bebouwing, deeluitmakende van een kleine verkaveling nabij het centrum van Beerse. Het perceel is oost georiënteerd, met ochtend- en namiddagzon. Bebouwbare voorgevelbreedte 9,16 meter, bouwdiepte gelijkvloers 15 meter. De bouwgrond is gelegen nabij het centrum van Beerse op wandelafstand van scholen, winkels en openbaar...

    info op kantoor
  • Bouwgrond | Beerse

    Bouwperceel van 525 m² geschikt voor het bouwen van een open bebouwing, deeluitmakende van een kleine verkaveling nabij het centrum van Beerse. Het perceel is oost georiënteerd, met ochtend- en namiddagzon. Bebouwbare voorgevelbreedte 9 meter, bouwdiepte gelijkvloers 15 meter. De bouwgrond is gelegen nabij het centrum van Beerse op wandelafstand van scholen, winkels en openbaar vervoer....

    info op kantoor
  • Bouwgrond | Beerse

    Bouwperceel van 499,36m², geschikt voor het bouwen van een half open bebouwing, deeluitmakende van een kleine verkaveling nabij het centrum van Beerse. Het perceel is west georiënteerd, met avondzon. Bebouwbare voorgevelbreedte 9 meter, bouwdiepte gelijkvloers tot 17 meter. De bouwgrond is gelegen naast een groenplein nabij het centrum van Beerse op wandelafstand van scholen, winkels en...

    info op kantoor
  • Bouwgrond | Beerse

    Bouwperceel van 586,54m² geschikt voor het bouwen van een half open bebouwing, deeluitmakende van een kleine verkaveling nabij het centrum van Beerse. Het perceel is zuidwest georiënteerd, met namiddag- en avondzon. Bebouwbare voorgevelbreedte 8,27 meter, bouwdiepte gelijkvloers 13 meter. De bouwgrond is gelegen nabij het centrum van Beerse op wandelafstand van scholen, winkels en openbaar...

    info op kantoor
  • Bouwgrond | Kasterlee

    Unieke villagrond in de residentiële buurt van Kasterlee, de bouwgrond is 1.559m² groot en heeft een straatbreedte van wel 42 meter langs de Kattenberg en 50 meter langs De Meere De bouwgrond is georiënteerd naar het oosten. De grond is uitermate geschikt voor een vrijstaande open bebouwing en dit in een groene, bosrijke omgeving gelegen op fietsafstand van het centrum van Kasterlee. De...

    € 350.000
  • Bouwgrond | Kasterlee

    Bouwperceel van 633m² geschikt voor het bouwen van een half open bebouwing en bijgebouw. Perceelbreedte van circa 10 meter en een perceeldiepte van ongeveer 63 meter. Bebouwbare voorgevelbreedte 7 meter, standaard gabarit 17, 13 en 9 meter. De bouwgrond is gelegen nabij het centrum van Tielen op wandelafstand van scholen, winkels en openbaar vervoer. Het perceel is noordwest georiënteerd,...

    info op kantoor
  • Bouwgrond | Kasterlee

    Bouwperceel van 608m² geschikt voor het bouwen van een half open bebouwing en bijgebouw. Perceelbreedte van circa 10,45 meter en een perceeldiepte van ongeveer 63 meter. Bebouwbare voorgevelbreedte 7,31 meter, standaard gabarit 17, 13 en 9 meter. De bouwgrond is gelegen nabij het centrum van Tielen op wandelafstand van scholen, winkels en openbaar vervoer. Het perceel is noordwest...

    info op kantoor
  • Landbouwgrond | Kasterlee

    Perceel grond gelegen in agrarisch gebied met een oppervlakte van 22 aren 74 centiare, het betreft een hoekperceel. Het perceel is niet verpacht. Het perceel is vooraan ontsluitbaar via de Zandhoef en via de Hazenberg. Voor bijkomende informatie, tel. 014 71 50 08 of info@vastgoedpicavet.be

    info op kantoor
  • Bouwgrond | Lichtaart

    TE VERKAVELEN BOUWGROND nabij het centrum van Lichtaart. De bouwgrond kan verkaveld worden in 2 loten geschikt voor halfopen bebouwing van ca 750m². Perceelbreedte van ca 10 meter en een perceeldiepte van ongeveer 75 meter. Bebouwbare voorgevelbreedte ongeveer 7 meter, bouwdiepte 17 meter. De bouwgrond is rustig gelegen nabij het centrum van Lichtaart op wandelafstand van winkels, bakker,...

    info op kantoor
  • Landbouwgrond | Kasterlee

    Perceel landbouwgrond te "Groot Goor" met een oppervlakte van 72 aren 67 centiaren. Het perceel heeft een breedte van 30 meter en een diepte van 240 meter. Het perceel is niet verpacht. Het perceel is vooraan ontsluitbaar via een land weg.. Voor bijkomende informatie, tel. 014 71 50 08 of info@vastgoedpicavet.be

    info op kantoor
  • Landbouwgrond | Kasterlee

    Perceel grond gelegen in agrarisch gebied bestaande uit een gedeelte landbouwgrond en een gedeelte bos met een oppervlakte van 30 aren 22 centiaren. Het perceel heeft een straatbreedte ter hoogte van de Zandhoef van 32 meter en een diepte van 95 meter. Het perceel is niet verpacht. Het perceel is vooraan ontsluitbaar via de Zandhoef. Voor bijkomende informatie, tel. 014 71 50 08 of...

    info op kantoor
  • Recreatiegrond | Brecht

    De bouwgrond met bungalow is gelegen op een perceel van +/- 1.057 m² (straatbreedte = 27,50 meter) in een zeer rustige en groene omgeving. De eigendom is gelegen in een zone voor het wonen in het groen (BPA recreatie woongebied, zone B = PERMANENT WONEN toegelaten). De grondoppervlakte bij nieuwbouw bedraagt maximaal 80m², kroonlijst maximaal 3,5 meter en nekhoogte maximaal 7?5 meter....

    info op kantoor
  • Bouwgrond | Oud-Turnhout

    Bouwgrond met een oppervlakte van 2.439m² en een uitstekende zuidwest oriëntatie op een zeer rustige ligging in het villapark van Oud-Turnhout. Het perceel heeft een mooie straatbreedte van 35 meter en een diepte van circa 72 meter, achteraan is er een wegenis in het voordeel van dit perceel zodat het perceel ook achteraan toegankelijk is. De villagrond is geschikt voor het oprichten van een...

    info op kantoor
  • Bouwgrond | Kasterlee

    Mooie villagrond in de residentiële buurt van Kasterlee, de bouwgrond is 920m² groot en heeft een straatbreedte van wel 31,50 meter. De bouwgrond is georiënteerd naar het oosten. De grond is uitermate geschikt voor een vrijstaande open bebouwing en dit in een groene, bosrijke omgeving gelegen op fietsafstand van het centrum van Kasterlee. De bouwvoorschriften en het opmetingsplan zijn op...

    info op kantoor
  • Bouwgrond | Tielen

    Bouwgrond, lot 1, deel uitmakend van een toekomstige verkaveling in 2 loten, ca 440m² voor halfopen bebouwing in het centrum van Tielen. Perceelbreedte van ca 10 meter en een perceeldiepte van ongeveer 43meter. Het verkavelingsplan van de landmeter volgt. Bebouwbare voorgevelbreedte ongeveer 7 meter, bouwdiepte 17 meter. De bouwgrond is reeds voorzien van een nieuwe OPRIT in klinkers en een...

    info op kantoor
  • Bouwgrond | Tielen

    Bouwgrond, lot 2, deel uitmakend van een toekomstige verkaveling in 2 loten, ca 440m² voor halfopen bebouwing in het centrum van Tielen. Perceelbreedte van ca 10 meter en een perceeldiepte van ongeveer 43meter. Het verkavelingsplan van de landmeter volgt. Bebouwbare voorgevelbreedte ongeveer 7 meter, bouwdiepte 17 meter. De bouwgrond is rustig gelegen nabij het centrum van Tielen. Winkels,...

    info op kantoor
  • Bouwgrond | Arendonk

    Bouwgrond voor open bebouwing met een oppervlakte van 954m². Perceelbreedte van 23,90 meter en een perceeldiepte van ongeveer 70meter. Voorgevelbreedte ongeveer 15 meter, achtergevel 11meter. De bouwgrond is rustig gelegen nabij het centrum van Arendonk. Winkels, bakker, scholen en openbaar vervoer (treinstation) op fietsafstand. De tuin is noord georiënteerd en heeft van ’s middags tot...

    info op kantoor
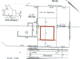
  • Bouwgrond | Tielen

    MOOIE BOUWGROND (met noodwoning) voor open bebouwing met een oppervlakte van 1.112m² net buiten het centrum van Tielen, geschikt voor open bebouwing. UITSTEKENDE ORIËNTATIE! De rechthoekige bouwgrond heeft een mooie straatbreedte van 22,79 m en is 48,74 m diep. Het perceel is zuidwest georiënteerd en dus erg zonnig. Achteraan op het perceel staat een garage die volledig is onderkelderd (75m²)...

    info op kantoor
  • Bouwgrond | Kasterlee

    SUPER ORIENTATIE, ganse dag zon. Bouwgrond, lot 1, deel uitmakend van een verkaveling in drie loten, groot 490m² voor halfopen bebouwing nabij het centrum van Tielen. Perceelbreedte van 11 meter en een perceeldiepte van ongeveer 50meter. Voorgevelbreedte ongeveer 8 meter, bouwdiepte 17 meter, 13 meter 1ste verdieping en 9 meter onder dak. De bouwgrond is rustig gelegen nabij het centrum...

    info op kantoor
  • Bouwgrond | Tielen

    Goed gelegen bouwgrond van 890,19m² voor open bebouwing nabij het centrum van Tielen. Perceelbreedte van 15,55 meter en een perceeldiepte van ongeveer 60 meter. Voorgevelbreedte van 9,30 meter en bouwdiepte 17 meter gelijkvloers, 13 meter op de 1ste verdieping en 9 meter onder dak. De bouwgrond is rustig gelegen nabij het centrum van Tielen. Winkels, bakker, scholen en openbaar vervoer...

    info op kantoor
  • Bouwgrond | Kasterlee

    Bouwgrond, lot 2, deel uitmakend van een verkaveling in drie loten, groot 519m² voor halfopen bebouwing nabij het centrum van Tielen. Perceelbreedte van 10,55 meter en een perceeldiepte van ongeveer 50meter. Voorgevelbreedte ongeveer 7,5 meter, bouwdiepte 17 meter, 13 meter 1ste verdieping en 9 meter onder dak. De bouwgrond is rustig gelegen nabij het centrum van Tielen. Winkels, bakker,...

    info op kantoor
  • Grond | Retie

    Het perceel met chalet, links vanaf de straatzijde, is VERKOCHT! Het perceel is 8.138m² groot en heeft een straatbreedte van meer dan 50m in verblijfsrecreatie zeer rustig gelegen in de ongerepte natuur te Retie langs de Hoevendijk. Ideaal voor mensen die op zoek zijn naar rust en een groene omgeving. Het terrein bestaat uit een zeer verzorgd open loofbos met veel lichtinval en is zuid...

    info op kantoor
  • Projectgrond | Poppel

    Projectgrond in het centrum van Poppel. Op de grond staat nog een af te breken handelshuis/gebouw voor gemengd gebruik. De grond is gelegen op de hoek van de Turnhoutsebaan en Lundenstraat op wandelafstand van het park Rivierenhof, winkels en openbaar vervoer. Mogelijkheid tot het bouwen van appartementen. Meer informatie en bouwvoorschriften op aanvraag, tel. 014/71.50.08 of...

    € 349.000
  • Projectgrond | Deurne

    Projectgrond in het centrum van Deurne. Op de grond staat nog een af te breken hoekpand/handelshuis. De grond is gelegen op de hoek van de Turnhoutsebaan en Lundenstraat op wandelafstand van het park Rivierenhof, winkels en openbaar vervoer. Mogelijkheid tot het bouwen van 7 bouwlagen. Grondoppervlakte ongeveer 90m² waarvan een klein deel in onteigening, te bebouwen ongeveer 70 à...

    info op kantoor
  • Bouwgrond | Lichtaart

    Zeer rustig en residentieel gelegen villagrond met een oppervlakte van 1.734m². Unieke ligging, hoekperceel dat grenst aan een uitgestrekt bos gelegen nabij het natuurgebied Snepkensvijver. De villagrond is centraal gelegen in het midden tussen Lichtaart en Herentals in een mooie villawijk met uitsluitend plaatselijk verkeer. Goede verbinding naar Lichtaart, Herentals. De...

    info op kantoor
  • Bouwgrond | Tielen

    Bouwgrond, lot 2, deel uitmakend van een verkaveling in twee loten, groot 614m² voor halfopen bebouwing nabij het centrum van Tielen. Perceelbreedte van 15,10 meter en een perceeldiepte van ongeveer 50 meter. Voorgevelbreedte ongeveer 11 meter, bouwdiepte 17 meter. De bouwgrond is rustig gelegen nabij het centrum van Tielen. Winkels, bakker, scholen en openbaar vervoer (treinstatiuon)...

    info op kantoor
  • Bouwgrond | Lichtaart

    Unieke villagrond in de residentiële buurt van Lichtaart, de grond is 1.791m² groot en heeft een straatbreedte van wel 40 meter. De grond is uitermate geschikt voor een vrijstaande open bebouwing en dit in een groene, bosrijke en kindvriendelijke omgeving met enkel plaatselijk verkeer. Vrij zicht naar achteraan op de achterliggende weiland. De bouwvoorschriften en het plan zijn op...

    info op kantoor
  • Bouwgrond | Poederlee

    Bouwgrond, lot 1, deel uitmakend van verkaveling met twee loten, groot 287,07m² voor halfopen bebouwing in het centrum van Poederlee. Lot 2 is inmiddels reeds verkocht. Zeer rustige ligging nabij het centrum, winkels, bakker, scholen en openbaar vervoer. Gelegen in een straat met voornamelijk plaatselijk verkeer. Voorgevelbreedte 12,27 meter, kroonlijsthoogte 6 meter, bouwdiepte: 11m op...

    info op kantoor
  • Bouwgrond | Poederlee

    Bouwgrond, lot 2, groot 259,69m² voor halfopen bebouwing in het centrum van Poederlee. Zeer rustige ligging nabij het centrum, winkels, bakker, scholen en openbaar vervoer. Gelegen in een straat met voornamelijk plaatselijk verkeer. Voorgevelbreedte 8 meter, kroonlijsthoogte 6 meter, bouwdiepte: 11m op gelijkvloers en 9m op verdieping, stedenbouwkundige bouwvoorschriften en meer info zijn...

    info op kantoor
  • Grond | Kasterlee

    Een prachtig perceel grond met vijver gelegen te Kasterlee in het natuurgebied Rielenbroek / Balderij. Centraal is een vijver gelegen met mooie waterlelies, waterplanten, kikkers en vissen. Rondom de vijver is gras aangelegd op deze manier kan men rond de vijver wandelen. Dit is de ideale plek om tot rust te komen in het midden van de natuur. Meer informatie op aanvraag, tel....

    info op kantoor
  • Bouwgrond | Poederlee

    Mooie rechthoekige bouwgrond voor open bebouwing met een oppervlakte van 969m², rustig gelegen in het centrum van Poederlee. Het perceel is zuid georiënteerd en gelegen op wandelafstand van bakker, slager, openbaar vervoer, scholen, … . Straatbreedte is 15 meter en diepte bedraagt ongeveer 65 meter. Meer informatie en bouwvoorschriften op aanvraag, tel. 014/71.50.08 of info@vastgoedpicavet.be ....

    info op kantoor
  • Bouwgrond | Geel

    Bouwgrond voor open bebouwing nabij het centrum Van Geel. Oppervlakte van 788m² gelegen in een goedgekeurde verkaveling. Nutsvoorzieningen zijn aanwezig. Straatbreedte ter hoogt van de Technische Schoolstraat 27 meter. Diepte bedraagt ongeveer 45 meter. Rechts loopt er een wegenis van 3 meter breed naar de achterliggende weides. Meer informatie en plannen op aanvraag T. 014 / 715008 of...

    info op kantoor
  • Projectgrond | Lille

    Projectgrond nabij het centrum van Lille. Bestaat uit een te slopen woning op een perceel van 1.800m² groot met verschillende mogelijkheden: Na verkaveling twee éénsgezinswoningen (één gesloten bebouwing en één halfopen bebouwing). Twee meersgezinswoningen (twee meersgezinswoningen met per woning twee eenheden met een netto-oppervlakte van 100m² per wooneenheid (exclusief muren, ...) , breedte...

    info op kantoor
  • Bouwgrond | Arendonk

    info op kantoor
  • Projectgrond | Kampenhout

    Perceel is geschikt voor gegroepeerde bebouwing zoals; appartementen, villa-appartementen, condominium, rusthuis, … . Perceel bied verschillende mogelijkheden. Er dient rekening gehouden te worden met 16 wooneenheden en parkings dienen ondergronds.

    info op kantoor

Vrijblijvende waardebepaling

+32 (0) 496 51 10 10
+32 (0) 14 71 50 08